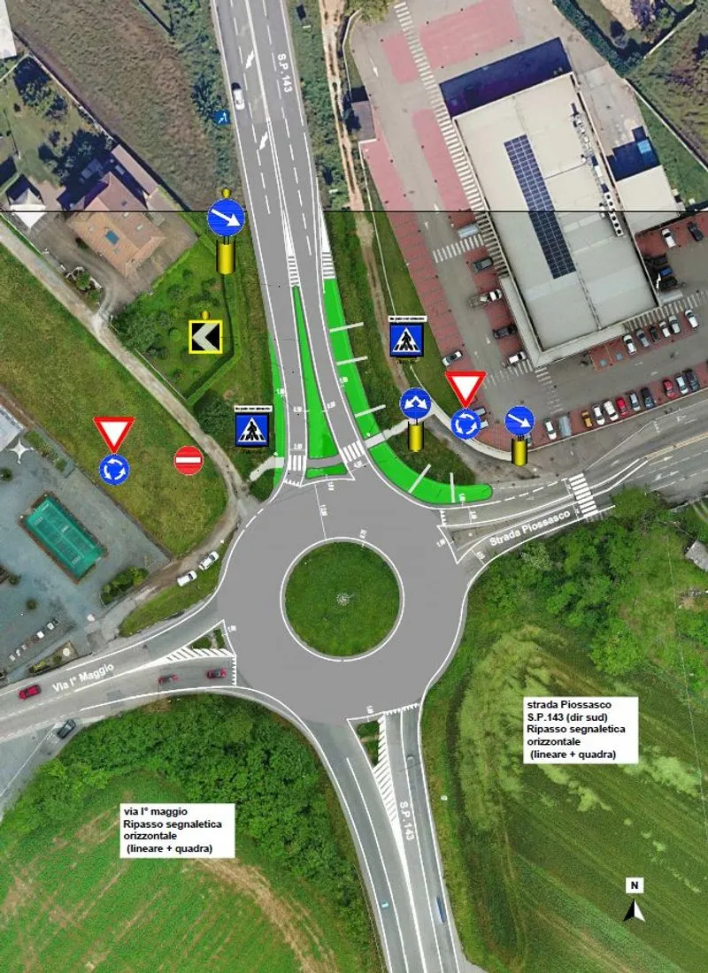
RIVALTA - Una nuova rotonda sulla provinciale 143 in frazione Tetti Francesi
Il progetto nasce dalle segnalazioni del Comune di Rivalta, che ha richiesto un miglioramento della sicurezza dell’attraversamento pedonale posto lungo il ramo nord della rotonda, caratterizzato da due corsie per senso di marcia

